Home » atributii » CNAIR a lansat o nouă licitație pentru construirea centurii Buftea pe DN 1 A. Contract de 330 de milioane de lei pentru cei 6 kilometri ai variantei

CNAIR a lansat o nouă licitație pentru construirea centurii Buftea pe DN 1 A. Contract de 330 de milioane de lei pentru cei 6 kilometri ai variantei

CNAIR a lansat o nouă licitație pentru construirea centurii Buftea pe DN 1 A. Contract de 330 de milioane de lei pentru cei 6 kilometri ai variantei
Sursa Foto : Ionel Scrioşteanu
Ascultă articolul

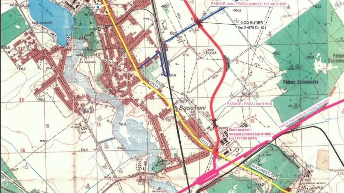
Licitația pentru proiectarea și execuția centurii Buftea pe DN 1 A a fost lansată publicată duminică 30 aprilie, în Sistemul Electronic de Achiziții Publice (SEAP). Este a doua procedură pentru construirea variantei de ocolire Buftea, prima fiind anulată după ce constructorul nu s-a mai prezentat pentru semnarea contractului, conform explicațiilor oficiale. Valoarea contractului din 2021 era de aprox. 200 de milioane lei.

Urmărește cele mai noi producții video G4Media
- articolul continuă mai jos -

Noul contract are o valoare cuprinsă între 330 și 390 de milioane lei, 10 luni pentru proiectare și 24 de luni pentru execuție.  VO Buftea, în lungime de 5,77 km, se desprinde din DN 1 A (km 17+ 100) cu orientarea nord, ocolind pe partea de est complexul Avicola Buftea (zona propusă spre construire de locuințe colective) și continuă, utilizând culoarul natural din lungul canalului situat la est de localitatea Buftea, aproximativ paralel cu DN 1A”. Potrivit caietului de sarcini, şoseaua are profil de drum rapid: platforma drumului va avea o lungime de 18, 6 metri din care 14 metri carosabil cu 4 benzi, bandă de încadrare 2X0,75 metri, zonă mediană de 1,6 metri cu separator median din beton New Jersey şi două parcări. Exproprierile se vor face pe 320 000 mp., 13 % fiind terenuri neagricole și 87 % terenuri agricole.

Sunt prevăzute 3 pasaje şi două intersecţii cu sens giratoriu:

Citește integral pe economedia.ro

Lasă un răspuns

Trebuie să fii autentificat pentru a publica un comentariu.
Vă rugăm să țineți cont că folosirea injuriilor, a limbajului instigator la ură, a apelurilor la violență sau trimiterea repetată, în mod abuziv, a aceluiași comentariu pot duce nu doar la ștergerea mesajului, ci și la suspendarea temporară a dreptului de a comenta. Site-ul nostru încurajează dezbaterile aprinse, dar civilizate. Vă mulțumim pentru înțelegere și pentru contribuția la o discuție bazată pe argumente, nu pe atacuri.

Citește și

Top Articole